![]() |
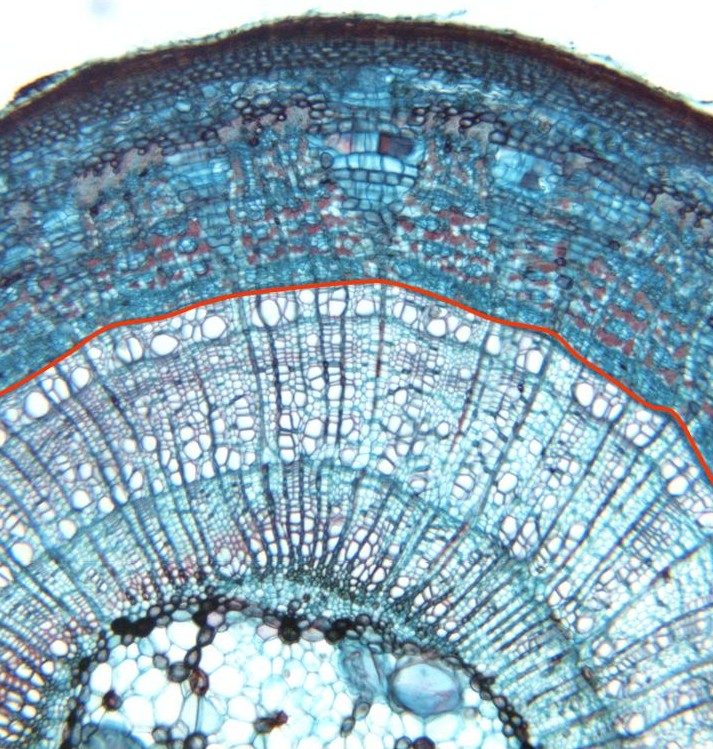
Reconstrucción
fotográfica
con el objetivo de 10x de parte de la
epidermis, córtex y cilindro
vascular. Se observan:
peridermis,
floema,
xilema primario, xilema secundario del primer año,
xilema secundario del
segundo año, radios medulares del xilema atravesando el espesor del
mismo, radios medulares expandidos del floema,
cámbium (línea en rojo)
y
parénquima
medular
|
![]()
|